Działka na sprzedaż












Szczegóły ogłoszenia
- Symbol oferty SOL-GS-138050
- Typ oferty działka na sprzedaż
- Cena 281 890 zł
- Charakterystyka mieszkania 4027 m2
- Działka lekko nachylona
Lokalizacja
- Adres mazowieckie, Załuski, Niepiekła
Opis nieruchomości
Cena + VAT.
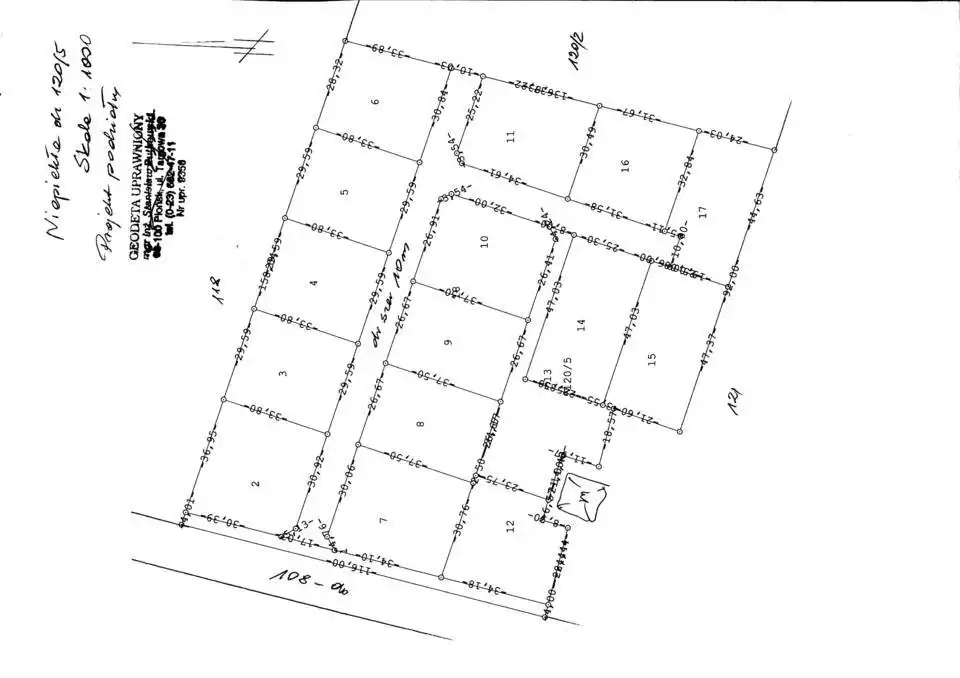
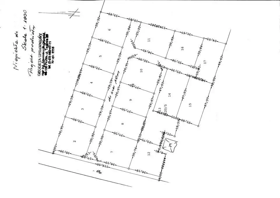
Teren inwestycyjny - 4 wydzielone działki budowlane, położone w malowniczym pejzażu mazowieckim, Sobole k. Kroczewa, gm. Załuski.
Znajdują się na niewielkim wzniesieniu, z ładną perspektywą, porośnięte luźno 20-letnimi brzozami i sosnami.
Możliwa zamiana na mieszkanie w Warszawie, z dopłatą - do ustalenia.
Działki położone ok. 1 km od trasy S7, przylegają na długości 120 metrów do drogi wojewódzkiej nr 108 przy której znajduje się prąd i wodociąg.
Działki w kwadracie. Wydzielone geodezyjnie i oznaczone w terenie.
Wewnętrzna droga szerokości 10 metrów.
W załączeniu dwie mapki.
Komfortowo zlokalizowane:
Doskonały dojazd trasą S7 do Warszawy (35 km do granic miasta), Nowego Dworu Mazowieckiego (10 km), Zakroczymia (7 km) czy Płońska (21 km).
- ok. 1 300 m sklep spożywczy
- ok. 800 m sklep "Mrówka"
- ok. 1 200 m zespół parkowy, z dwoma stawami, idealny na spacery
- ok. 1 100 m ponad 100-letni kościół
- ok. 2 000 m szkoła
- ok. 2 300 m kawiarnia/restauracja (pyszna piekarnia).
Zgodnie z MPZP ( Uchwała nr 124/XVI/2008 z dnia 24 września 2008 r. Dziennik Urzędowy Województwa Mazowieckiego nr 219 poz.9424 ) działki to teren oznaczony 5MN.
Przeznaczenie podstawowe - zabudowa mieszkaniowa jednorodzinna.
Przeznaczenie dopuszczalne - usługi związane z funkcją mieszkaniową.
Maksymalna wysokość zabudowy 10 m.
Minimalna powierzchnia działki o funkcji zabudowy mieszkaniowej jednorodzinnej - 1000 m2.
Media: prąd i woda na granicy działki i drogi wojewódzkiej.
Nieruchomości bez obciążeń.
Nota prawna
Opis oferty zawarty na stronie internetowej sporządzany jest na podstawie oględzin nieruchomości oraz informacji uzyskanych od właściciela, może podlegać aktualizacji i nie stanowi oferty określonej w art. 66 i następnych K.C.