Działka na sprzedaż
165 280 zł
2 066 m2




1 / 4
Szczegóły ogłoszenia
- Symbol oferty SBN-GS-508
- Typ oferty działka na sprzedaż
- Cena 165 280 zł
- Charakterystyka mieszkania 2066 m2
- Media Woda: w ulicy; Kanalizacja: brak; Prąd: w ulicy; Gaz: brak
- Bezpieczeństwo ogrodzenie działki: brak
- Dojazd droga gruntowa
- Działka Niezagospodarowana, płaska, prostokąt
- Otoczenie działki niezabudowane
Lokalizacja
- Adres łódzkie, sieradzki, Złoczew
Opis nieruchomości
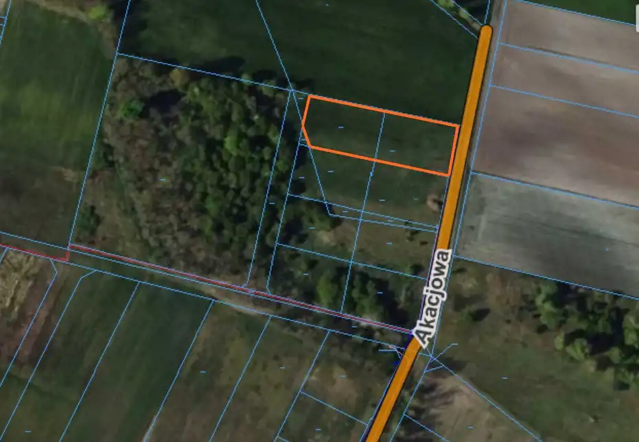
Sieradzkie Biuro Nieruchomości oferuje na sprzedaż działkę budowlaną położoną w miejscowości Złoczew przy ul. Akacjowej.
POWIERZCHNIA: 2066 m2
SZEROKOŚĆ FRONTOWA: 27 m
Nieruchomość składa się z dwóch numerów ewidencyjnych.
Działka objęta jest MIEJSCOWYM PLANEM ZAGOSPODAROWANIA PRZESTRZENNEGO - uchwała nr Nr XXIII/144/12
4MN- dla terenu ustala się zabudowę mieszkaniową jednorodzinną oraz realizację obiektów budowlanych o funkcji uzupełniającej przeznaczenie podstawowe ( budynki gospodarcze, wiaty, garaże) terenu oraz sieci i urządzeń infrastruktury technicznej.
Działka posiada bezpośredni dostęp do ulicy Akacjowej.
W ulicy przy granicy działki znajduje się przyłącze wodociągowe, przyłącze energetyczne około 30 m od działki, przyłącze kanalizacyjne - brak.
Złoczew to miasto położone w Polsce, w wojewódzkie łódzkim. W miejscowości znajduje się pełne zaplecze handlowo - usługowe, instytucje edukacyjne, instytucje urzędowe oraz wiele innych.
Złoczew posiada dobre połączenie z Wieluniem, Łodzią oraz Wrocławiem ze względu na zlokalizowany w Złoczewie węzeł S8.
POWIERZCHNIA: 2066 m2
SZEROKOŚĆ FRONTOWA: 27 m
Nieruchomość składa się z dwóch numerów ewidencyjnych.
Działka objęta jest MIEJSCOWYM PLANEM ZAGOSPODAROWANIA PRZESTRZENNEGO - uchwała nr Nr XXIII/144/12
4MN- dla terenu ustala się zabudowę mieszkaniową jednorodzinną oraz realizację obiektów budowlanych o funkcji uzupełniającej przeznaczenie podstawowe ( budynki gospodarcze, wiaty, garaże) terenu oraz sieci i urządzeń infrastruktury technicznej.
Działka posiada bezpośredni dostęp do ulicy Akacjowej.
W ulicy przy granicy działki znajduje się przyłącze wodociągowe, przyłącze energetyczne około 30 m od działki, przyłącze kanalizacyjne - brak.
Złoczew to miasto położone w Polsce, w wojewódzkie łódzkim. W miejscowości znajduje się pełne zaplecze handlowo - usługowe, instytucje edukacyjne, instytucje urzędowe oraz wiele innych.
Złoczew posiada dobre połączenie z Wieluniem, Łodzią oraz Wrocławiem ze względu na zlokalizowany w Złoczewie węzeł S8.
Nota prawna
Opis oferty zawarty na stronie internetowej sporządzany jest na podstawie oględzin nieruchomości oraz informacji uzyskanych od właściciela, może podlegać aktualizacji i nie stanowi oferty określonej w art. 66 i następnych K.C.
Kalkulator kredytowy
Formularz kontaktowy